Create Your First Project
Start adding your projects to your portfolio. Click on "Manage Projects" to get started
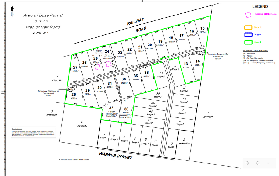
Green Acres Estate – Warner Street, Warwick
Green Acres Estate is a boutique 44-lot acreage subdivision located in Warwick, Queensland. Each homesite offers generous space, privacy, and the lifestyle benefits of country living while remaining close to town amenities. Designed for families, lifestyle buyers, and those seeking a tree-change, the estate captures the charm of rural Warwick with wide open lots, fresh country air, and a peaceful environment.
With acreage blocks set against a scenic outlook, Green Acres Estate blends natural surroundings with modern convenience. Residents can enjoy a relaxed lifestyle with room for large homes, sheds, gardens, and outdoor living – all within minutes of Warwick’s schools, shopping, sporting facilities, and medical services.
This development provides a rare opportunity to secure spacious land in a well-planned community setting, ideal for building custom homes that embrace both comfort and countryside living.




















_edited_edited.png)

